ENTLASTUNGSMÖGLICHKEIT BEI STARKREGENEREIGNISSEN FÜR DAS GEMEINDEGEBIET GEFUNDEN UND AUF DEN WEG GEBRACHT
Priorität 1a in Gelb:
In dem Kreuzungsbereich Zimmerstraße/Reutestraße wird ein neuer Teiler-Schacht gesetzt. Dieser leitet jede Regenmenge, welche größer als 165 Liter pro Sekunde ist, über einen neuen Kanal im südlichen Bereich der Reutestraße zu einer Rückhalteeinrichtung ab. Dadurch wird das gesamte südliche Entwässerungsnetz bei Starkregenereignissen um ca. 90 % entlastet. Die Rückhalteeinrichtung hat ein Volumen von ca. 550 m³ und entwässert mit 10 Liter pro Sekunde in das bestehende Kanalnetz im Gewerbegebiet Riesenburg. Nach ca. 13 Stunden ist die Regenrückhalteeinrichtung entleert. Diese wird voraussichtlich an 1 bis 3 Tagen pro Jahr benötigt, denn bei normalen Regenfällen wird in diese nicht abgeleitet!
Priorität 1b in Grün:
Die bestehenden Mischwasserkanäle im westlichen Bereich der Zimmerstraße, in dem südlichen Bereich der Goethestraße und in der Hebelstraße werden aufdimensioniert, damit die Überstauung in der Zimmerstaße (= Wasser tritt aus den Straßeneinlaufschächten und Kontrollschächten aus) beseitigt wird. Überstauung darf nicht mit Einstauung (= Kanal ist voll und bildet Rückstauung, Wasser tritt aber nicht an die Straßenoberfläche) verwechselt werden. Bei Überstauung muss die Gemeinde für die Beseitigung sorgen (wie bereits im Blumenweg erfolgt), bei Einstauung ist es an den Grundstückseigentümern gelegen, über Rückstauklappen die Rückstauung in deren Gebäude zu verhindern.
Priorität 1c in Orange:
In der nördlichen Reutestraße von Gebäude Hausnummer 6 bis Hausnummer 2 werden zwei bestehende Mischwasserkanalhaltungen aufdimensioniert. Die heute nicht vorhandene Kanalverbindung von Gebäude Reutestraße Hausnummer 2 zur Villinger Straße wird hergestellt. In diesem Kreuzungsbereich wird ein neuer Teiler-Schacht eingebaut. In der Villinger Straße werden drei Kanalhaltungen aufdimensioniert, vom Kreuzungsbereich die Reutestraße bis auf Höhe Gebäude Hausnummer 25. Heute fließen bei einem 2-jährigen Starkregenereignis im Kanal in der Villinger Straße auf Höhe der Einmündung Reutestraße 695 l/s. Wenn an dieser Stelle ein Teilerschachtbauwerk eingebaut wird, können 493 l/s über die gesamte Reutestraße in die Regenrückhalteeinrichtung im Gewann Reutenen abgeleitet werden und somit sämtliche darunterliegende Mischwasserkanäle im südlichen Bereich um ca. 71 % entlastet werden.

Priorität 2a
Eine Kanalhaltung des Hauptsammlers im Norden, direkt vor dem Regenüberlaufbecken Lunital, sollte auf einen 1500 Kanal aufdimensioniert werden.
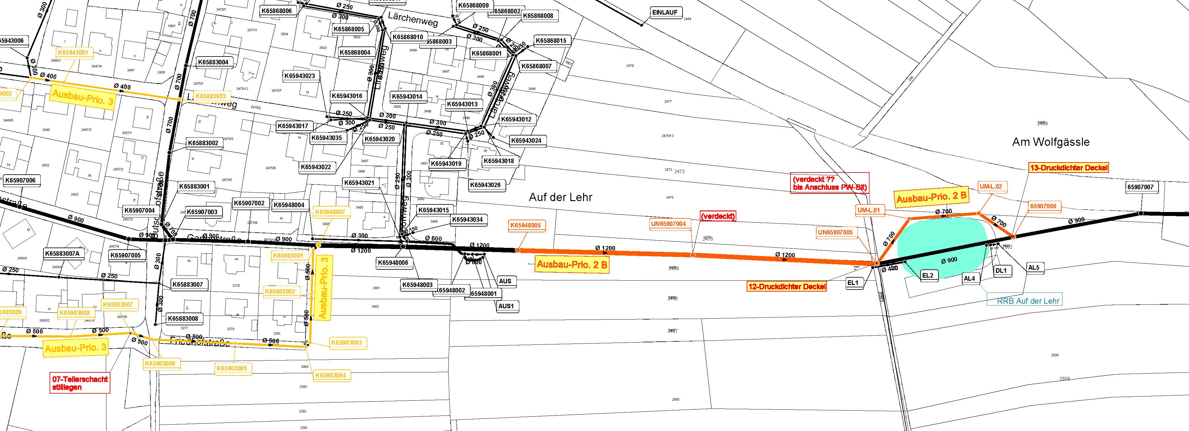
Priorität 2b
Drei Kanalhaltungen des Hauptsammlers im Süden, direkt am Ende der Gartenstraße, sollten auf einen 1200 Kanal aufdimensioniert werden. Dadurch wird der Rückstau im bestehenden 900 Kanal, welcher bei einem 2-jährigen Starkregenereignis mit 6.000 l/s angegeben wird, verhindert. Stand heute kann diese Leitung im Freispiegel, also ohne jeglichen Rückstau, nur 2.875 l/s als maximale Leistung ohne Rückstau entwässern. Zum Vergleich: Durch das Anlegen des Dorfplatzes fallen an dieser Stelle 28 l/s als zusätzliche Niederschlagswasser-menge an, also ganze 0,68 % der gesamten Wassermenge am Ende der Gartenstraße!

Priorität 2c
Zwei bestehende, parallel verlaufende Mischwasserkanäle im nordöstlichen Hauptsammlerbereich sollten zusammengelegt und ebenfalls auf einen 1500 Kanal aufdimensioniert werden.


